Furacão Beryl atinge o Caribe com "ventos potencialmente fatais"; seis mortes foram confirmadas
Classificado na categoria 5, a mais alta na escala que mede intensidade do fenômeno, deve alcançar a Jamaica nos próximos dias

SBT News
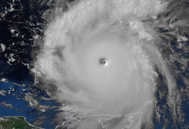
O furacão Beryl ganhou força no Atlântico e passou a ser classificado na categoria 5, índice mais alto na escala Saffir-Simpson, responsável por medir a intensidade desse tipo de fenômeno, na madrugada desta terça-feira (02). Ele atingiu a potência em tempo recorde, sendo o mais precoce da história. Até o momento, seis mortes foram confirmadas, no Sudeste do Caribe.
+ Furacão Beryl sobe de categoria no Atlântico e se aproxima do Caribe
Os ventos já chegaram a quase 270 km/h, segundo o Centro Nacional de Furacões (NHC) e nos próximos dias a previsão é que o Beryl chegue na Jamaica com "ventos potencialmente fatais" nos próximos dias, informou o órgão.
Desde o final de junho, o Beryl vem se fortalecendo no Oceano Atlântico. No último dia 30, ele subiu para a categoria 4 na escala, com ventos de 209 km/h, quando se aproximou do sudeste do Caribe.
A intensidade do Beryl marca a segunda vez que um furacão do Atlântico atingiu a categoria 5 em julho na região. Segundo o órgão, o primeiro foi o furacão Emily, registrado há quase 20 anos, em 17 de julho de 2005.
"Está claro que a crise climática está levando os desastres a novos níveis recordes de destruição", disse o secretário-chefe da ONU Clima, Simon Stiell, sobre os impactos do fenômeno.