Resultados
Brasil - 18/09/2024Ministro Toffoli ficará duas semanas afastado do STF por causa de broncopneumonia
Tecnologia - 09/08/2024Conheça a técnica brasileira pioneira que revela se uma obra de arte é verdadeira ou falsa
Brasil - 08/08/2024Gêmeas siamesas com três pernas recebem alta hospitalar em Goiânia após 10 meses de internação
Brasil - 25/07/2024Polícia Federal investiga ataque cibernético contra sistemas do Governo Federal
Economia - 25/07/2024Alimentos seguram alta na inflação; veja os itens que ficaram mais baratos
- Publicidade
Brasil - 18/07/2024Brasil bate recorde na geração de energia, com alta de 18,7%
Mundo - 10/07/2024Países da Otan começam a transferir caças F-16 para a Ucrânia
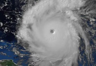
Mundo - 02/07/2024Furacão Beryl atinge o Caribe com "ventos potencialmente fatais"; seis mortes foram confirmadas
Política - 02/07/2024Governo tenta conter recorde do dólar após falas de Lula contra Campos Neto
Política - 02/07/2024Lula diz que alta do dólar é causada por "interesse especulativo contra o real"
Publicidade